 |
| |
 |
| |
 |
| |
| 物件種目 |
売土地 |
| 最適用途 |
住宅 |
| 最寄駅 |
地下鉄南北線「麻生」駅 |
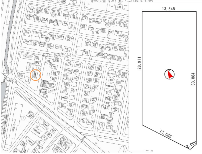
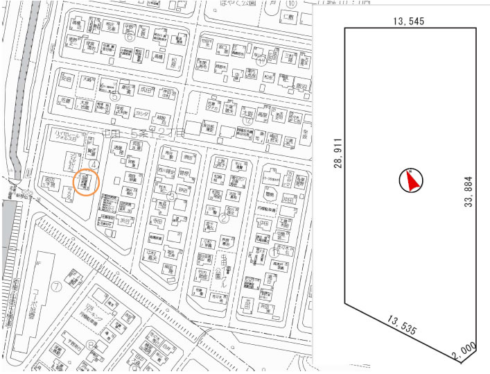
| 土地面積 |
440.27u(133.10坪) |
| ほかに私道面積 |
無 |
| 価格 |
2,100万円 |
| 物件所在地 |
札幌市北区屯田5条12丁目366番1(住宅表示4-8) |
| 交通 |
中央バス「屯田5-11」バス停 徒歩3分 |
| 土地権利 |
所有権 |
| 地目 |
宅地 |
| 都市計画 |
市街化区域 |
| 用途地域 |
第一種中高層住専 |
| 建ぺい率 |
60% |
| 容積率 |
200% |
| 他の法令上の制限 |
18m高度地区 景観計画区域 出水のおそれのある区域 |
| 地勢 |
|
| 引渡日 |
|
| 接道状況(角地・間口) |
東側6m公道に約34m、角切2m、南西側14.54m公道に約14m接している。 |
| 設備 |
上下水道・電気・LPG |
| 備考 |
上物あり 分筆販売可能(均等、価格相談)南西側道路拡張計画あり(敷地に影響なし) |
|
|
|
|
|
|